Pilismaróton, belterületi telek, most akciós áron eladó

31425 Nyomtatás Ajánlás Facebook

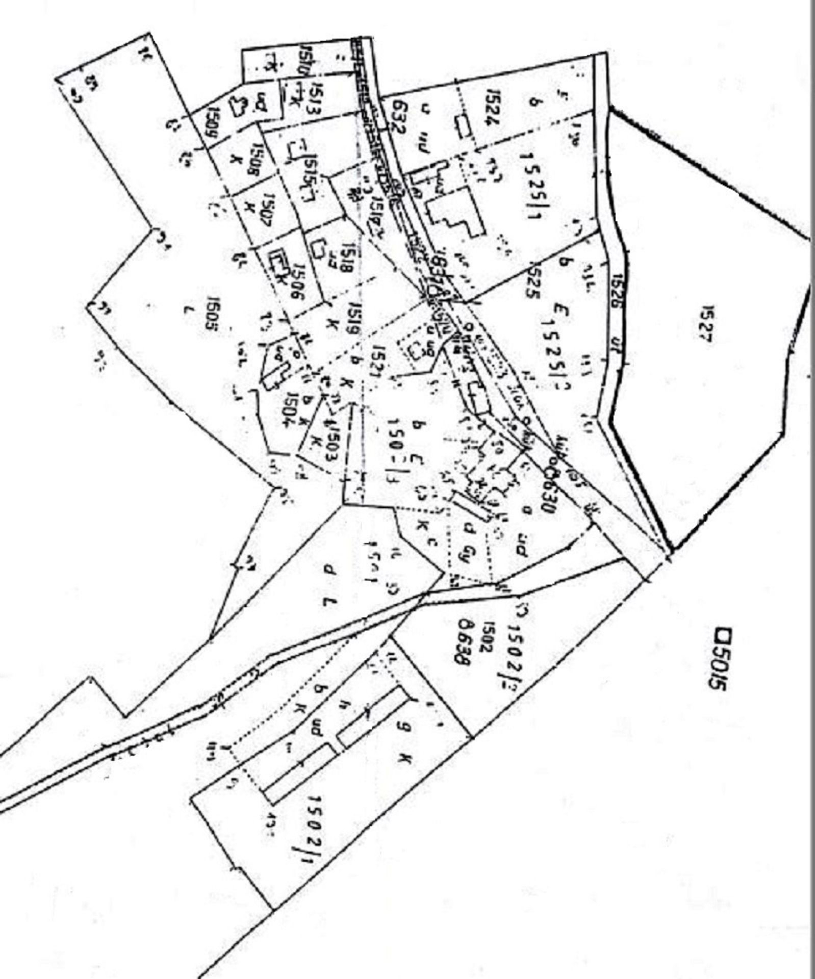
Pilismarót, Basaharc településen, 9329 m2, belterületi telek eladó. Közvetlenül a Máltai szeretetszolgálat, idősek otthona melletti részen.

A mellékelt térképen 1527-es számmal jelölt terület.

Az ingatlan többféle hasznosításra is megfelelő lehet. Belterületi jellege miatt állattartásra és növénytermesztésre valamint ezek feldolgozására irányuló építkezés nem megengedett.

Tulajdoni lap szerinti besorolása: kivett telephely

Szabadon álló beépítési mód, 30% beépíthetőség, 7,5 méter építménymagasság megengedett.

A telek előtt közvetlenül, mindkét irányban buszmegálló található.

Lakóingatlan a vételárba beszámítható.

Ingatlannal kapcsolatos kérdésekben bármikor, hangsúlyozom, bármikor hívhat.


Pilismarót, in the municipality of Basaharc, 9329 m2 of land for sale. Directly next to the Maltese charity, home for the elderly.

Plot marked 1527 on the attached map.

The property could be suitable for several uses. Due to its internal nature, construction for livestock and crop production and processing is not allowed.

Classification according to the title deeds: abandoned industrial site

Free-standing, 30% built-up area, 7.5 m high.

There is a bus stop directly in front of the plot in both directions.

Residential property can be included in the purchase price.

For any questions regarding the property, please call me at any time, I stress, at any time.

Fekete Zoltán
PRÉMIUM

Fekete Zoltán

10 éve a Városi Ingatlaniroda tagja
Régióigazgató
Budapest
+36 (70) 947 6547
Észrevétel a hirdetéssel kapcsolatban
Egy ingatlanos naplója